Nocken 7 – nytt LSS-boende i Norrviken
LSS- boende i Norrviken
Nybyggnation av ett LSS-boende med lägenheter för personer med funktionsnedsättning. Tillträde för Nocken 7 i Norrviken beräknas till sommaren 2025.
Vad händer nu?

Oktober 2025
Idag invigdes det nya LSS-boendet i Norrviken. Boendet, som ligger på fastigheten Nocken 7 i Norrviken, består av sex moderna lägenheter för personer med funktionsnedsättning samt gemensamma utrymmen för personal och boende.
Byggnationen har genomförts av Fors Måleri och Entreprenad (FME) på uppdrag av Sollentuna Kommunfastigheter AB (SKAB). Det färdiga boendet omfattar cirka 570 kvadratmeter, och kommer att drivas av Frösunda Omsorg.
- Vi är stolta över att få bidra till ett nytt och kvalitativt boende i Norrviken. Nocken 7 blir ett modernt och hemtrevligt hem med hög tillgänglighet – en satsning som betyder mycket både för de boende och för hela kommunen, säger Hanna Clerkestam, ordförande i Sollentuna Kommunfastigheter AB.
Även kommunen ser satsningen som ett viktigt steg framåt.
- Projektet har varit ett fint exempel på hur samarbete mellan olika aktörer kan skapa något riktigt värdefullt. Vi vill rikta ett varmt tack till Stefan Henningsson och alla som varit inblandade – ert engagemang, tålamod och fokus på kvalitet har gjort stor skillnad. Ett särskilt tack också till Frösunda Omsorg AB för den förståelse och flexibilitet ni visat under hela processen. Nu ser vi fram emot att tillsammans skapa en varm och välfungerande verksamhet här i Norrviken, präglad av samma goda anda som i arbetet hit säger Sofia Wikström, Chef för avdelning funktionsstöd, Sollentuna kommun.
Verksamheten vid Nocken 7 kommer att drivas av Frösunda Omsorg, som har lång erfarenhet av att erbjuda individanpassat stöd.
- Det är en stor glädje att stå här idag vid invigningen av det nya LSS-boendet i Norrviken. Det är ett fint hus i ett fint område – och framför allt ett hem som är pedagogiskt anpassat för att möta varje individs behov. Tack vare ett gott samarbete har vi tillsammans gjort det möjligt för Sollentunabor med särskilda behov att kunna bo kvar i sin egen kommun, nära familj, vänner och trygghet. Det här boendet är byggt med omtanke och engagemang och kommer att bidra till ett tryggt och meningsfullt liv för de som flyttar in här säger Majid Tamdjidi, verksamhetschef, Frösunda Omsorg AB.
I kommunens strategiska lokalförsörjningsplan har behovet av fler bostäder för personer med funktionsnedsättning identifierats. Kommunstyrelsen beslutade därför att SKAB ska bygga två nya LSS-boenden – ett i Norrviken och ett i Tureberg som står kart sedan hösten 2024.
Januari 2025
Allt går enligt tidsplan. Huset har tätt tak.

Höst 2024
Nu går det undan! Plattan är ljuten och väggar är på plats. TIll jul- 24 har huset tätt tak.

Beställare
Vård- och omsorgskontoret.
Vård- och omsorgskontoret kommer att upphandla driften av boendet.
Kontakt
Upplysningar om detta projekt kan lämnas av:
Sollentuna Kommunfastigheter AB, info@skab.se
FAQ - Vanliga frågor och svar i projektet
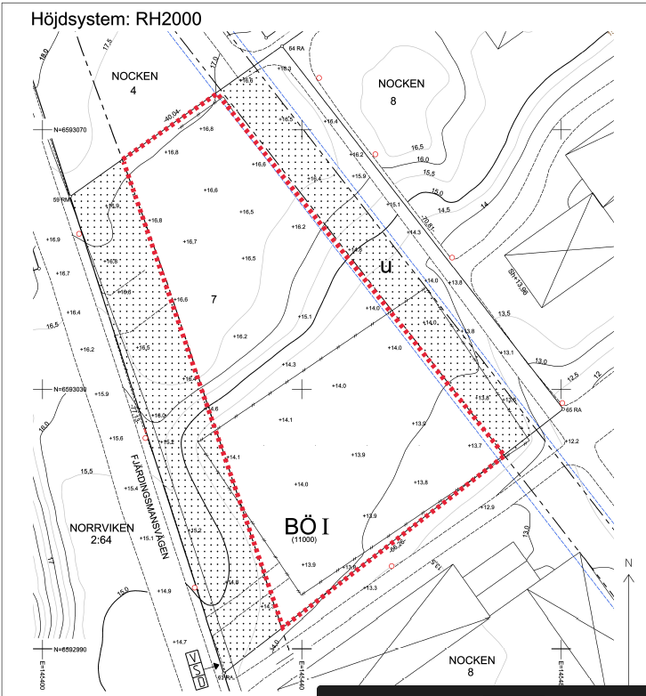
FRÅGA 1. Hur är fastigheterna placerade på tomten i förhållande till övriga fastigheter?
SVAR: Placeringen är innanför den ytan nybyggnadskartan medger, se rött markerat i bilden nedan.

Bakgrund
11 juni 2021
Den 7 juni -11 tog kommunstyrelsen i Sollentuna beslut om att överlåta två fastigheter från kommunen till Sollentuna kommunfastigheter AB, SKAB. I uppdraget låg också att påbörja planeringen för att bygga två nya LSS-boenden.
I kommunens strategiska lokalförsörjningsplan framgår behov av fler boenden för personer med funktionsnedsättning. Därför beslutade kommunstyrelsen att Sollentuna kommunfastigheter AB, SKAB ska bygga två boenden, det ena i Norrviken på fastigheten Nocken 7 och det andra i Tureberg på fastigheten Tureberg 26:80.

- "Ungdomar som har behov av en plats på ett LSS-boende ska ha möjlighet leva sina liv som alla andra och att flytta hemifrån. Därför är det mycket positivt att vi snart kan sätta spaden i marken för de här två boendena och jag ser fram emot att följa hur boendena växer fram", säger Anna-Lena Johansson (L), ordförande i vård- och omsorgsnämnden.
I och med att fastigheterna överlåtits från kommunen till SKAB så kan SKAB ta helhetsansvar över byggprocessen.
- "SKAB är mycket hedrade över att - i samarbete med Sollentuna kommun - få tillskapa ytterligare två viktiga omsorgsboende i Sollentuna. Oavsett vad du har för eventuella funktionsvariationer ska Sollentuna upplevas tillgängligt och du ska känna dig väl omhändertagen. De boenden SKAB nu bygger blir viktiga inslag för de personer som får förmånen att kalla detta boende för sitt hem” säger Thomas Ardenfors, styrelseordförande i SKAB.
Vård- och omsorgskontoret kommer att upphandla driften för båda boendena.
Kontakt
Upplysningar om detta projekt kan lämnas av:
Sollentuna Kommunfastigheter AB, info@skab.se
Kontakta oss
Vi har spetskompetens inom ny-, om- och tillbyggnation och förvaltning av samhällsfastigheter. SKAB bidrar till att Sollentuna kommun utvecklas till en attraktiv verksamhets-, näringslivs- och bostadsort.